Quick facts

Common name: oriental chestnut gall wasp, sweet chestnut gall wasp

Scientific name: Dryocosmus kuriphilus

What does it affect?: sweet chestnut

Areas affected so far: London and southeast England

Origin: China

What does oriental chestnut gall wasp damage look like?

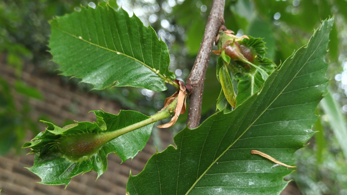
The oriental chestnut gall wasp is the only organism known to form galls on sweet chestnut trees, so the presence of galls is the most reliable sign of an infestation.

Symptoms include:

  • Fresh galls can be bright green to rose pink or red.
  • Older galls dry out and turn brown and woody over the summer.
  • They appear in the canopy and measure from 1-2cm.
  • The galls can cause premature leaf drop.

What is the oriental chestnut gall wasp?

The oriental chestnut gall wasp is a small species of wasp with larvae that cause abnormal growths, known as galls, to form on the buds, leaves and leaf stalks of the sweet chestnut tree.

Where has oriental chestnut gall wasp impacted?

Since the first discovery of the oriental chestnut gall wasp in 2015, it has been found at a number of other sites, most of them around London and south-east England.

Credit: iStock.com / Cristian Storto Fotografia

How did oriental chestnut gall wasp get here and what impact will it have?

These wasps spread through flight; they likely got to the UK through plant imports and spread locally.

On its own, the wasp is a low-impact pest. However, in high numbers the galls can weaken the host tree and make them more vulnerable to the other pests and diseases, particularly sweet chestnut blight.

What are we doing about it?

To combat the spread and introduction of pests and diseases like the oriental chestnut gall wasp we have:

  • Developed a UK and Ireland Sourced and Grown assurance scheme to make sure that all the trees we plant and sell are produced in the UK.
  • Lobbied the Government to improve biosecurity at border points to stop new pests and diseases entering the UK.
  • Partnered with Observatree, a tree health citizen science project which trains volunteers to spot pests and diseases, thereby helping tree health authorities identify and manage outbreaks early.

Trees woods and wildlife

What we are doing about tree pests and diseases

We are fighting back against pests and diseases. Find out what we're doing to prevent the spread and protect the UK’s trees. 

More pests and diseases: